搜索
楼主: Caibiao

清迈曼谷华欣苏梅宋卡槟城吉隆坡马六甲自驾

[复制链接]
 楼主| 发表于 2017-7-26 01:16:34 | 显示全部楼层
2016年12月25日,第九天,合艾(Hat Yai)至 Pak Bara Pier, 开往丽贝岛(Koh Lipe)的轮渡码头

回到合艾后算算时间,还有六七天,可以游览下泰国南部的一些岛屿。

有一个非常著名的岛屿就不远,就是那个号称“小马尔代夫”的----丽贝岛(Koh Lipe)!

泰国南部非常著名的号称“小马尔代夫”的丽贝岛(Koh Lipe)

泰国南部非常著名的号称“小马尔代夫”的丽贝岛(Koh Lipe)


丽贝岛被称做安达曼海的明珠,地处泰国南部Tarutao National Park,这个海上自然保护岛群中,目前主要只开放开发了丽贝岛这个小岛。邻近其他几个岛屿也非常漂亮,只是还没有进行商业开发。

泰国南部非常著名的号称“小马尔代夫”的丽贝岛(Koh Lipe)

泰国南部非常著名的号称“小马尔代夫”的丽贝岛(Koh Lipe)


泰国南部非常著名的号称“小马尔代夫”的丽贝岛(Koh Lipe)

泰国南部非常著名的号称“小马尔代夫”的丽贝岛(Koh Lipe)


泰国南部非常著名的号称“小马尔代夫”的丽贝岛(Koh Lipe)

泰国南部非常著名的号称“小马尔代夫”的丽贝岛(Koh Lipe)




合艾(Hat Yai)至 Pak Bara Pier, 开往丽贝岛(Koh Lipe)的轮渡码头

合艾(Hat Yai)至 Pak Bara Pier, 开往丽贝岛(Koh Lipe)的轮渡码头


合艾(Hat Yai)至 Pak Bara Pier, 开往丽贝岛(Koh Lipe)的轮渡码头

合艾(Hat Yai)至 Pak Bara Pier, 开往丽贝岛(Koh Lipe)的轮渡码头


合艾(Hat Yai)至 Pak Bara Pier, 开往丽贝岛(Koh Lipe)的轮渡码头

合艾(Hat Yai)至 Pak Bara Pier, 开往丽贝岛(Koh Lipe)的轮渡码头


合艾(Hat Yai)至 Pak Bara Pier, 开往丽贝岛(Koh Lipe)的轮渡码头

合艾(Hat Yai)至 Pak Bara Pier, 开往丽贝岛(Koh Lipe)的轮渡码头


合艾(Hat Yai)至 Pak Bara Pier, 开往丽贝岛(Koh Lipe)的轮渡码头

合艾(Hat Yai)至 Pak Bara Pier, 开往丽贝岛(Koh Lipe)的轮渡码头


合艾(Hat Yai)至 Pak Bara Pier, 开往丽贝岛(Koh Lipe)的轮渡码头

合艾(Hat Yai)至 Pak Bara Pier, 开往丽贝岛(Koh Lipe)的轮渡码头


合艾(Hat Yai)至 Pak Bara Pier, 开往丽贝岛(Koh Lipe)的轮渡码头

合艾(Hat Yai)至 Pak Bara Pier, 开往丽贝岛(Koh Lipe)的轮渡码头


合艾(Hat Yai)至 Pak Bara Pier, 开往丽贝岛(Koh Lipe)的轮渡码头

合艾(Hat Yai)至 Pak Bara Pier, 开往丽贝岛(Koh Lipe)的轮渡码头


合艾(Hat Yai)至 Pak Bara Pier, 开往丽贝岛(Koh Lipe)的轮渡码头

合艾(Hat Yai)至 Pak Bara Pier, 开往丽贝岛(Koh Lipe)的轮渡码头


合艾(Hat Yai)至 Pak Bara Pier, 开往丽贝岛(Koh Lipe)的轮渡码头

合艾(Hat Yai)至 Pak Bara Pier, 开往丽贝岛(Koh Lipe)的轮渡码头


合艾(Hat Yai)至 Pak Bara Pier, 开往丽贝岛(Koh Lipe)的轮渡码头

合艾(Hat Yai)至 Pak Bara Pier, 开往丽贝岛(Koh Lipe)的轮渡码头


合艾(Hat Yai)至 Pak Bara Pier, 开往丽贝岛(Koh Lipe)的轮渡码头

合艾(Hat Yai)至 Pak Bara Pier, 开往丽贝岛(Koh Lipe)的轮渡码头


合艾(Hat Yai)至 Pak Bara Pier, 开往丽贝岛(Koh Lipe)的轮渡码头

合艾(Hat Yai)至 Pak Bara Pier, 开往丽贝岛(Koh Lipe)的轮渡码头


合艾(Hat Yai)至 Pak Bara Pier, 开往丽贝岛(Koh Lipe)的轮渡码头

合艾(Hat Yai)至 Pak Bara Pier, 开往丽贝岛(Koh Lipe)的轮渡码头


合艾(Hat Yai)至 Pak Bara Pier, 开往丽贝岛(Koh Lipe)的轮渡码头

合艾(Hat Yai)至 Pak Bara Pier, 开往丽贝岛(Koh Lipe)的轮渡码头


合艾(Hat Yai)至 Pak Bara Pier, 开往丽贝岛(Koh Lipe)的轮渡码头

合艾(Hat Yai)至 Pak Bara Pier, 开往丽贝岛(Koh Lipe)的轮渡码头


合艾(Hat Yai)至 Pak Bara Pier, 开往丽贝岛(Koh Lipe)的轮渡码头

合艾(Hat Yai)至 Pak Bara Pier, 开往丽贝岛(Koh Lipe)的轮渡码头


合艾(Hat Yai)至 Pak Bara Pier, 开往丽贝岛(Koh Lipe)的轮渡码头

合艾(Hat Yai)至 Pak Bara Pier, 开往丽贝岛(Koh Lipe)的轮渡码头


合艾(Hat Yai)至 Pak Bara Pier, 开往丽贝岛(Koh Lipe)的轮渡码头

合艾(Hat Yai)至 Pak Bara Pier, 开往丽贝岛(Koh Lipe)的轮渡码头



合艾(Hat Yai)至 Pak Bara Pier, 开往丽贝岛(Koh Lipe)的轮渡码头

合艾(Hat Yai)至 Pak Bara Pier, 开往丽贝岛(Koh Lipe)的轮渡码头
回复

使用道具 举报

 楼主| 发表于 2017-7-26 13:46:39 | 显示全部楼层
2016年12月26日,第十天,Pak Bara Pier, 开往丽贝岛(Koh Lipe),上岛

每天从Pak Bara码头开往丽贝岛的快艇有几班,不多,一般错过了上午的几班就得等第二天了。我们前一天到的就有些晚了,只能在码头这里住一晚。

因为距离比较远,所以一般只能坐快艇。

Pak Bara Pier, 开往丽贝岛(Koh Lipe)

Pak Bara Pier, 开往丽贝岛(Koh Lipe)


Pak Bara Pier, 开往丽贝岛(Koh Lipe)

Pak Bara Pier, 开往丽贝岛(Koh Lipe)


Pak Bara Pier, 开往丽贝岛(Koh Lipe)

Pak Bara Pier, 开往丽贝岛(Koh Lipe)


Pak Bara Pier, 开往丽贝岛(Koh Lipe)

Pak Bara Pier, 开往丽贝岛(Koh Lipe)



Pak Bara Pier, 开往丽贝岛(Koh Lipe)

Pak Bara Pier, 开往丽贝岛(Koh Lipe)


Pak Bara Pier, 开往丽贝岛(Koh Lipe)

Pak Bara Pier, 开往丽贝岛(Koh Lipe)


途中上了两个岛屿做了短暂的游览停留。

Pak Bara Pier, 开往丽贝岛(Koh Lipe)

Pak Bara Pier, 开往丽贝岛(Koh Lipe)


Pak Bara Pier, 开往丽贝岛(Koh Lipe)

Pak Bara Pier, 开往丽贝岛(Koh Lipe)


Pak Bara Pier, 开往丽贝岛(Koh Lipe)

Pak Bara Pier, 开往丽贝岛(Koh Lipe)


Pak Bara Pier, 开往丽贝岛(Koh Lipe)

Pak Bara Pier, 开往丽贝岛(Koh Lipe)


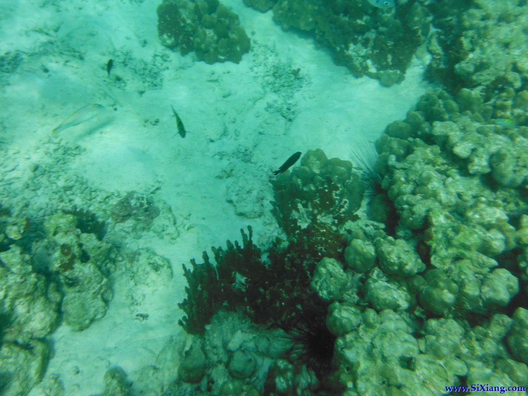
这个小岛的珊瑚生态保护得比较好。

Pak Bara Pier, 开往丽贝岛(Koh Lipe)

Pak Bara Pier, 开往丽贝岛(Koh Lipe)


Pak Bara Pier, 开往丽贝岛(Koh Lipe)

Pak Bara Pier, 开往丽贝岛(Koh Lipe)


Pak Bara Pier, 开往丽贝岛(Koh Lipe)

Pak Bara Pier, 开往丽贝岛(Koh Lipe)


Pak Bara Pier, 开往丽贝岛(Koh Lipe)

Pak Bara Pier, 开往丽贝岛(Koh Lipe)


Pak Bara Pier, 开往丽贝岛(Koh Lipe)

Pak Bara Pier, 开往丽贝岛(Koh Lipe)


Pak Bara Pier, 开往丽贝岛(Koh Lipe)

Pak Bara Pier, 开往丽贝岛(Koh Lipe)


Pak Bara Pier, 开往丽贝岛(Koh Lipe)

Pak Bara Pier, 开往丽贝岛(Koh Lipe)


Pak Bara Pier, 开往丽贝岛(Koh Lipe)

Pak Bara Pier, 开往丽贝岛(Koh Lipe)


Pak Bara Pier, 开往丽贝岛(Koh Lipe)

Pak Bara Pier, 开往丽贝岛(Koh Lipe)


Pak Bara Pier, 开往丽贝岛(Koh Lipe)

Pak Bara Pier, 开往丽贝岛(Koh Lipe)


Pak Bara Pier, 开往丽贝岛(Koh Lipe)

Pak Bara Pier, 开往丽贝岛(Koh Lipe)


Pak Bara Pier, 开往丽贝岛(Koh Lipe)

Pak Bara Pier, 开往丽贝岛(Koh Lipe)


Pak Bara Pier, 开往丽贝岛(Koh Lipe)

Pak Bara Pier, 开往丽贝岛(Koh Lipe)


Pak Bara Pier, 开往丽贝岛(Koh Lipe)

Pak Bara Pier, 开往丽贝岛(Koh Lipe)


Pak Bara Pier, 开往丽贝岛(Koh Lipe)

Pak Bara Pier, 开往丽贝岛(Koh Lipe)


上丽贝岛了!

Pak Bara Pier, 开往丽贝岛(Koh Lipe)

Pak Bara Pier, 开往丽贝岛(Koh Lipe)


Pak Bara Pier, 开往丽贝岛(Koh Lipe)

Pak Bara Pier, 开往丽贝岛(Koh Lipe)


Pak Bara Pier, 开往丽贝岛(Koh Lipe)

Pak Bara Pier, 开往丽贝岛(Koh Lipe)


Pak Bara Pier, 开往丽贝岛(Koh Lipe)

Pak Bara Pier, 开往丽贝岛(Koh Lipe)


丽贝岛主要有三个海滩,酒店最多的芭提雅海滩,还有日出海滩和日落海滩。

因为对岛上情况不了解,我们没有提前预订酒店,到岛上边逛边找。岛也不大,20分钟可以从一边走到另一边。

最后我们选在了酒店和人群最多的芭提雅海滩。逛岛找酒店的过程中,发现有不少西方人,在这里一住就是一年半截,每天就是坐在海边,发呆。

我们选的酒店就在沙滩边上,有自己的趟椅遮阳伞,下海游泳冲澡也很方便。

Pak Bara Pier, 开往丽贝岛(Koh Lipe)

Pak Bara Pier, 开往丽贝岛(Koh Lipe)


Pak Bara Pier, 开往丽贝岛(Koh Lipe)

Pak Bara Pier, 开往丽贝岛(Koh Lipe)


Pak Bara Pier, 开往丽贝岛(Koh Lipe)

Pak Bara Pier, 开往丽贝岛(Koh Lipe)


Pak Bara Pier, 开往丽贝岛(Koh Lipe)

Pak Bara Pier, 开往丽贝岛(Koh Lipe)


Pak Bara Pier, 开往丽贝岛(Koh Lipe)

Pak Bara Pier, 开往丽贝岛(Koh Lipe)


Pak Bara Pier, 开往丽贝岛(Koh Lipe)

Pak Bara Pier, 开往丽贝岛(Koh Lipe)


Pak Bara Pier, 开往丽贝岛(Koh Lipe)

Pak Bara Pier, 开往丽贝岛(Koh Lipe)


Pak Bara Pier, 开往丽贝岛(Koh Lipe)

Pak Bara Pier, 开往丽贝岛(Koh Lipe)


Pak Bara Pier, 开往丽贝岛(Koh Lipe)

Pak Bara Pier, 开往丽贝岛(Koh Lipe)


Pak Bara Pier, 开往丽贝岛(Koh Lipe)

Pak Bara Pier, 开往丽贝岛(Koh Lipe)


Pak Bara Pier, 开往丽贝岛(Koh Lipe)

Pak Bara Pier, 开往丽贝岛(Koh Lipe)


岛上水汽蒸腾丰沛,日落时的彩虹很漂亮




回复

使用道具 举报

 楼主| 发表于 2017-7-26 15:07:28 | 显示全部楼层

丽贝岛(Koh Lipe)

丽贝岛(Koh Lipe)


丽贝岛(Koh Lipe)

丽贝岛(Koh Lipe)


丽贝岛(Koh Lipe)

丽贝岛(Koh Lipe)


丽贝岛(Koh Lipe)

丽贝岛(Koh Lipe)


丽贝岛(Koh Lipe)

丽贝岛(Koh Lipe)


丽贝岛(Koh Lipe)

丽贝岛(Koh Lipe)


丽贝岛(Koh Lipe)

丽贝岛(Koh Lipe)


下午水有些混。

丽贝岛(Koh Lipe)

丽贝岛(Koh Lipe)


丽贝岛(Koh Lipe)

丽贝岛(Koh Lipe)


丽贝岛(Koh Lipe)

丽贝岛(Koh Lipe)


丽贝岛(Koh Lipe)

丽贝岛(Koh Lipe)


丽贝岛(Koh Lipe)

丽贝岛(Koh Lipe)




丽贝岛(Koh Lipe)

丽贝岛(Koh Lipe)


丽贝岛(Koh Lipe)

丽贝岛(Koh Lipe)


晚上大乖挑了几只大海虾,这岛上的虾可不便宜,哈~

丽贝岛(Koh Lipe)

丽贝岛(Koh Lipe)


丽贝岛(Koh Lipe)

丽贝岛(Koh Lipe)


丽贝岛(Koh Lipe)

丽贝岛(Koh Lipe)


烧烤的滋味如何?

丽贝岛(Koh Lipe)

丽贝岛(Koh Lipe)



熏到眼睛了,哈~

丽贝岛(Koh Lipe)

丽贝岛(Koh Lipe)


丽贝岛(Koh Lipe)

丽贝岛(Koh Lipe)


丽贝岛(Koh Lipe)

丽贝岛(Koh Lipe)


丽贝岛(Koh Lipe)

丽贝岛(Koh Lipe)





丽贝岛(Koh Lipe)

丽贝岛(Koh Lipe)

丽贝岛(Koh Lipe)

丽贝岛(Koh Lipe)

丽贝岛(Koh Lipe)

丽贝岛(Koh Lipe)

丽贝岛(Koh Lipe)

丽贝岛(Koh Lipe)

丽贝岛(Koh Lipe)

丽贝岛(Koh Lipe)
回复

使用道具 举报

 楼主| 发表于 2017-7-29 05:00:50 | 显示全部楼层
2016年12月26日,第十一天,上午丽贝岛(Koh Lipe)游览,中午上岸,下午到甲米(Krabi)


早上起了个大早,原想看看能否看到日出,可惜天边有云。

丽贝岛(Koh Lipe)游览

丽贝岛(Koh Lipe)游览


不过看看海岛晨景也不错。

丽贝岛(Koh Lipe)游览

丽贝岛(Koh Lipe)游览


丽贝岛(Koh Lipe)游览

丽贝岛(Koh Lipe)游览


丽贝岛(Koh Lipe)游览

丽贝岛(Koh Lipe)游览


丽贝岛(Koh Lipe)游览

丽贝岛(Koh Lipe)游览


丽贝岛(Koh Lipe)游览

丽贝岛(Koh Lipe)游览


空闲下来,在这样静谧空旷的海边静坐发呆,让思绪自由放飞,应该常常会有顿悟的吧。

丽贝岛(Koh Lipe)游览

丽贝岛(Koh Lipe)游览

Paradise 的 feeling

丽贝岛(Koh Lipe)游览

丽贝岛(Koh Lipe)游览


丽贝岛(Koh Lipe)游览

丽贝岛(Koh Lipe)游览


丽贝岛(Koh Lipe)游览

丽贝岛(Koh Lipe)游览


丽贝岛(Koh Lipe)游览

丽贝岛(Koh Lipe)游览


丽贝岛(Koh Lipe)游览

丽贝岛(Koh Lipe)游览


丽贝岛(Koh Lipe)游览

丽贝岛(Koh Lipe)游览


丽贝岛(Koh Lipe)游览

丽贝岛(Koh Lipe)游览


丽贝岛(Koh Lipe)游览

丽贝岛(Koh Lipe)游览

丽贝岛(Koh Lipe)游览

丽贝岛(Koh Lipe)游览


丽贝岛(Koh Lipe)游览

丽贝岛(Koh Lipe)游览


丽贝岛(Koh Lipe)游览

丽贝岛(Koh Lipe)游览


丽贝岛(Koh Lipe)游览

丽贝岛(Koh Lipe)游览


丽贝岛(Koh Lipe)游览

丽贝岛(Koh Lipe)游览


丽贝岛(Koh Lipe)游览

丽贝岛(Koh Lipe)游览


丽贝岛(Koh Lipe)游览

丽贝岛(Koh Lipe)游览


早上的海水很清澈

丽贝岛(Koh Lipe)游览

丽贝岛(Koh Lipe)游览


丽贝岛(Koh Lipe)游览

丽贝岛(Koh Lipe)游览


丽贝岛(Koh Lipe)游览

丽贝岛(Koh Lipe)游览


丽贝岛(Koh Lipe)游览

丽贝岛(Koh Lipe)游览


丽贝岛(Koh Lipe)游览

丽贝岛(Koh Lipe)游览


丽贝岛(Koh Lipe)游览

丽贝岛(Koh Lipe)游览


丽贝岛(Koh Lipe)游览

丽贝岛(Koh Lipe)游览


丽贝岛(Koh Lipe)游览

丽贝岛(Koh Lipe)游览


丽贝岛(Koh Lipe)游览

丽贝岛(Koh Lipe)游览


丽贝岛(Koh Lipe)游览

丽贝岛(Koh Lipe)游览


丽贝岛(Koh Lipe)游览

丽贝岛(Koh Lipe)游览


丽贝岛(Koh Lipe)游览

丽贝岛(Koh Lipe)游览


丽贝岛(Koh Lipe)游览

丽贝岛(Koh Lipe)游览


丽贝岛(Koh Lipe)游览

丽贝岛(Koh Lipe)游览


丽贝岛(Koh Lipe)游览

丽贝岛(Koh Lipe)游览


丽贝岛(Koh Lipe)游览

丽贝岛(Koh Lipe)游览


丽贝岛(Koh Lipe)游览

丽贝岛(Koh Lipe)游览


丽贝岛上的商业步行街

丽贝岛(Koh Lipe)游览

丽贝岛(Koh Lipe)游览


丽贝岛(Koh Lipe)游览

丽贝岛(Koh Lipe)游览


丽贝岛(Koh Lipe)游览

丽贝岛(Koh Lipe)游览


丽贝岛(Koh Lipe)游览

丽贝岛(Koh Lipe)游览



丽贝岛(Koh Lipe)游览

丽贝岛(Koh Lipe)游览
回复

使用道具 举报

 楼主| 发表于 2017-7-29 05:23:28 | 显示全部楼层

甲米(Krabi)游览

甲米(Krabi)游览


甲米(Krabi)游览

甲米(Krabi)游览


甲米(Krabi)附近多是喀斯特地貌,从沙敦(Satun)去甲米沿途风景秀丽,蓝色白云,青山绿树,美不胜收!

甲米(Krabi)游览

甲米(Krabi)游览


到甲米(Krabi)了!

甲米(Krabi)游览

甲米(Krabi)游览


甲米(Krabi)游览

甲米(Krabi)游览


甲米(Krabi)游览

甲米(Krabi)游览


甲米(Krabi)的城市雕塑,看看这些Crab, 知道Krabi这个名字怎么来了的吧

甲米(Krabi)游览

甲米(Krabi)游览


甲米(Krabi)游览

甲米(Krabi)游览


甲米(Krabi)游览

甲米(Krabi)游览


甲米(Krabi)游览

甲米(Krabi)游览


边上的河滩海滩,到处都是螃蟹!

甲米(Krabi)游览

甲米(Krabi)游览


甲米(Krabi)游览

甲米(Krabi)游览


甲米(Krabi)游览

甲米(Krabi)游览


附上一张2012年来甲米(Krabi)玩,吃螃蟹(Crab)的照片:

甲米(Krabi)游览

甲米(Krabi)游览



甲米(Krabi)游览

甲米(Krabi)游览

甲米(Krabi)游览

甲米(Krabi)游览
回复

使用道具 举报

 楼主| 发表于 2017-7-29 06:07:58 | 显示全部楼层
2016年12月28日,第十二天,甲米(Krabi)至苏梅岛(Koh Samui)

甲米以前来过,这次时间比较紧张,大致看了看,就赶路奔苏梅岛(Koh Samui)而去了!

甲米(Krabi)至苏梅岛(Koh Samui)

甲米(Krabi)至苏梅岛(Koh Samui)


行程中大部分是在44号公路上行驶,这条公路修得很棒,路边景色也非常漂亮。

甲米(Krabi)至苏梅岛(Koh Samui)

甲米(Krabi)至苏梅岛(Koh Samui)


甲米(Krabi)至苏梅岛(Koh Samui)

甲米(Krabi)至苏梅岛(Koh Samui)


甲米(Krabi)至苏梅岛(Koh Samui)

甲米(Krabi)至苏梅岛(Koh Samui)


甲米(Krabi)至苏梅岛(Koh Samui)

甲米(Krabi)至苏梅岛(Koh Samui)


上岛车也可以轮渡。

甲米(Krabi)至苏梅岛(Koh Samui)

甲米(Krabi)至苏梅岛(Koh Samui)


甲米(Krabi)至苏梅岛(Koh Samui)

甲米(Krabi)至苏梅岛(Koh Samui)


甲米(Krabi)至苏梅岛(Koh Samui)

甲米(Krabi)至苏梅岛(Koh Samui)


甲米(Krabi)至苏梅岛(Koh Samui)

甲米(Krabi)至苏梅岛(Koh Samui)


甲米(Krabi)至苏梅岛(Koh Samui)

甲米(Krabi)至苏梅岛(Koh Samui)


甲米(Krabi)至苏梅岛(Koh Samui)

甲米(Krabi)至苏梅岛(Koh Samui)


甲米(Krabi)至苏梅岛(Koh Samui)

甲米(Krabi)至苏梅岛(Koh Samui)


甲米(Krabi)至苏梅岛(Koh Samui)

甲米(Krabi)至苏梅岛(Koh Samui)


甲米(Krabi)至苏梅岛(Koh Samui)

甲米(Krabi)至苏梅岛(Koh Samui)


甲米(Krabi)至苏梅岛(Koh Samui)

甲米(Krabi)至苏梅岛(Koh Samui)


甲米(Krabi)至苏梅岛(Koh Samui)

甲米(Krabi)至苏梅岛(Koh Samui)


甲米(Krabi)至苏梅岛(Koh Samui)

甲米(Krabi)至苏梅岛(Koh Samui)


甲米(Krabi)至苏梅岛(Koh Samui)

甲米(Krabi)至苏梅岛(Koh Samui)


这次订到了一个可以做饭的房间,可以自己做些海鲜吃了!

甲米(Krabi)至苏梅岛(Koh Samui)

甲米(Krabi)至苏梅岛(Koh Samui)


甲米(Krabi)至苏梅岛(Koh Samui)

甲米(Krabi)至苏梅岛(Koh Samui)


甲米(Krabi)至苏梅岛(Koh Samui)

甲米(Krabi)至苏梅岛(Koh Samui)


甲米(Krabi)至苏梅岛(Koh Samui)

甲米(Krabi)至苏梅岛(Koh Samui)


甲米(Krabi)至苏梅岛(Koh Samui)

甲米(Krabi)至苏梅岛(Koh Samui)


甲米(Krabi)至苏梅岛(Koh Samui)

甲米(Krabi)至苏梅岛(Koh Samui)


甲米(Krabi)至苏梅岛(Koh Samui)

甲米(Krabi)至苏梅岛(Koh Samui)


甲米(Krabi)至苏梅岛(Koh Samui)

甲米(Krabi)至苏梅岛(Koh Samui)


甲米(Krabi)至苏梅岛(Koh Samui)

甲米(Krabi)至苏梅岛(Koh Samui)


甲米(Krabi)至苏梅岛(Koh Samui)

甲米(Krabi)至苏梅岛(Koh Samui)


甲米(Krabi)至苏梅岛(Koh Samui)

甲米(Krabi)至苏梅岛(Koh Samui)


甲米(Krabi)至苏梅岛(Koh Samui)

甲米(Krabi)至苏梅岛(Koh Samui)


甲米(Krabi)至苏梅岛(Koh Samui)

甲米(Krabi)至苏梅岛(Koh Samui)




甲米(Krabi)至苏梅岛(Koh Samui)

甲米(Krabi)至苏梅岛(Koh Samui)
回复

使用道具 举报

 楼主| 发表于 2017-7-29 06:31:28 | 显示全部楼层
2016年12月29日,第13天,苏梅岛(Koh Samui)游览

苏梅岛(Koh Samui)游览

苏梅岛(Koh Samui)游览


苏梅岛(Koh Samui)游览

苏梅岛(Koh Samui)游览




苏梅岛(Koh Samui)游览

苏梅岛(Koh Samui)游览


苏梅岛(Koh Samui)游览

苏梅岛(Koh Samui)游览


苏梅岛(Koh Samui)游览

苏梅岛(Koh Samui)游览


苏梅岛(Koh Samui)游览

苏梅岛(Koh Samui)游览


苏梅岛(Koh Samui)游览

苏梅岛(Koh Samui)游览


苏梅岛(Koh Samui)游览

苏梅岛(Koh Samui)游览


苏梅岛(Koh Samui)游览

苏梅岛(Koh Samui)游览


苏梅岛(Koh Samui)游览

苏梅岛(Koh Samui)游览


苏梅岛(Koh Samui)游览

苏梅岛(Koh Samui)游览


苏梅岛(Koh Samui)游览

苏梅岛(Koh Samui)游览


苏梅岛(Koh Samui)游览

苏梅岛(Koh Samui)游览


苏梅岛(Koh Samui)游览

苏梅岛(Koh Samui)游览


苏梅岛(Koh Samui)游览

苏梅岛(Koh Samui)游览


苏梅岛(Koh Samui)游览

苏梅岛(Koh Samui)游览


苏梅岛(Koh Samui)游览

苏梅岛(Koh Samui)游览


苏梅岛(Koh Samui)游览

苏梅岛(Koh Samui)游览




苏梅岛(Koh Samui)游览

苏梅岛(Koh Samui)游览


苏梅岛(Koh Samui)游览

苏梅岛(Koh Samui)游览


苏梅岛(Koh Samui)游览

苏梅岛(Koh Samui)游览


苏梅岛(Koh Samui)游览

苏梅岛(Koh Samui)游览


苏梅岛(Koh Samui)游览

苏梅岛(Koh Samui)游览


苏梅岛(Koh Samui)游览

苏梅岛(Koh Samui)游览


苏梅岛(Koh Samui)游览

苏梅岛(Koh Samui)游览


苏梅岛(Koh Samui)游览

苏梅岛(Koh Samui)游览


苏梅岛(Koh Samui)游览

苏梅岛(Koh Samui)游览


苏梅岛(Koh Samui)游览

苏梅岛(Koh Samui)游览


苏梅岛(Koh Samui)游览

苏梅岛(Koh Samui)游览


苏梅岛(Koh Samui)游览

苏梅岛(Koh Samui)游览


苏梅岛(Koh Samui)游览

苏梅岛(Koh Samui)游览


苏梅岛(Koh Samui)游览

苏梅岛(Koh Samui)游览


苏梅岛(Koh Samui)游览

苏梅岛(Koh Samui)游览


苏梅岛(Koh Samui)游览

苏梅岛(Koh Samui)游览


苏梅岛(Koh Samui)游览

苏梅岛(Koh Samui)游览


苏梅岛(Koh Samui)游览

苏梅岛(Koh Samui)游览


苏梅岛(Koh Samui)游览

苏梅岛(Koh Samui)游览


苏梅岛(Koh Samui)游览

苏梅岛(Koh Samui)游览


苏梅岛(Koh Samui)游览

苏梅岛(Koh Samui)游览





苏梅岛(Koh Samui)游览

苏梅岛(Koh Samui)游览

苏梅岛(Koh Samui)游览

苏梅岛(Koh Samui)游览

苏梅岛(Koh Samui)游览

苏梅岛(Koh Samui)游览

苏梅岛(Koh Samui)游览

苏梅岛(Koh Samui)游览

苏梅岛(Koh Samui)游览

苏梅岛(Koh Samui)游览

苏梅岛(Koh Samui)游览

苏梅岛(Koh Samui)游览

苏梅岛(Koh Samui)游览

苏梅岛(Koh Samui)游览

苏梅岛(Koh Samui)游览

苏梅岛(Koh Samui)游览

苏梅岛(Koh Samui)游览

苏梅岛(Koh Samui)游览

苏梅岛(Koh Samui)游览

苏梅岛(Koh Samui)游览

苏梅岛(Koh Samui)游览

苏梅岛(Koh Samui)游览
回复

使用道具 举报

 楼主| 发表于 2017-7-29 07:32:44 | 显示全部楼层
2016年12月30日,第十四天,上午苏梅岛(Koh Samui)游览,下午上岸至春蓬(Chumphon)

苏梅岛(Koh Samui)至春蓬(Chumphon)

苏梅岛(Koh Samui)至春蓬(Chumphon)


苏梅岛(Koh Samui)至春蓬(Chumphon)

苏梅岛(Koh Samui)至春蓬(Chumphon)


苏梅岛(Koh Samui)至春蓬(Chumphon)

苏梅岛(Koh Samui)至春蓬(Chumphon)


苏梅岛(Koh Samui)至春蓬(Chumphon)

苏梅岛(Koh Samui)至春蓬(Chumphon)


苏梅岛(Koh Samui)至春蓬(Chumphon)

苏梅岛(Koh Samui)至春蓬(Chumphon)


苏梅岛(Koh Samui)至春蓬(Chumphon)

苏梅岛(Koh Samui)至春蓬(Chumphon)


苏梅岛(Koh Samui)至春蓬(Chumphon)

苏梅岛(Koh Samui)至春蓬(Chumphon)


苏梅岛(Koh Samui)至春蓬(Chumphon)

苏梅岛(Koh Samui)至春蓬(Chumphon)


苏梅岛(Koh Samui)至春蓬(Chumphon)

苏梅岛(Koh Samui)至春蓬(Chumphon)


苏梅岛(Koh Samui)至春蓬(Chumphon)

苏梅岛(Koh Samui)至春蓬(Chumphon)


苏梅岛(Koh Samui)至春蓬(Chumphon)

苏梅岛(Koh Samui)至春蓬(Chumphon)


苏梅岛(Koh Samui)至春蓬(Chumphon)

苏梅岛(Koh Samui)至春蓬(Chumphon)


苏梅岛(Koh Samui)至春蓬(Chumphon)

苏梅岛(Koh Samui)至春蓬(Chumphon)


苏梅岛(Koh Samui)至春蓬(Chumphon)

苏梅岛(Koh Samui)至春蓬(Chumphon)


苏梅岛(Koh Samui)至春蓬(Chumphon)

苏梅岛(Koh Samui)至春蓬(Chumphon)


苏梅岛(Koh Samui)至春蓬(Chumphon)

苏梅岛(Koh Samui)至春蓬(Chumphon)


苏梅岛(Koh Samui)至春蓬(Chumphon)

苏梅岛(Koh Samui)至春蓬(Chumphon)


苏梅岛(Koh Samui)至春蓬(Chumphon)

苏梅岛(Koh Samui)至春蓬(Chumphon)


苏梅岛(Koh Samui)至春蓬(Chumphon)

苏梅岛(Koh Samui)至春蓬(Chumphon)


苏梅岛(Koh Samui)至春蓬(Chumphon)

苏梅岛(Koh Samui)至春蓬(Chumphon)


苏梅岛(Koh Samui)至春蓬(Chumphon)

苏梅岛(Koh Samui)至春蓬(Chumphon)


苏梅岛(Koh Samui)至春蓬(Chumphon)

苏梅岛(Koh Samui)至春蓬(Chumphon)


苏梅岛(Koh Samui)至春蓬(Chumphon)

苏梅岛(Koh Samui)至春蓬(Chumphon)


苏梅岛(Koh Samui)至春蓬(Chumphon)

苏梅岛(Koh Samui)至春蓬(Chumphon)


苏梅岛(Koh Samui)至春蓬(Chumphon)

苏梅岛(Koh Samui)至春蓬(Chumphon)


苏梅岛(Koh Samui)至春蓬(Chumphon)

苏梅岛(Koh Samui)至春蓬(Chumphon)


苏梅岛(Koh Samui)至春蓬(Chumphon)

苏梅岛(Koh Samui)至春蓬(Chumphon)


苏梅岛(Koh Samui)至春蓬(Chumphon)

苏梅岛(Koh Samui)至春蓬(Chumphon)


苏梅岛(Koh Samui)至春蓬(Chumphon)

苏梅岛(Koh Samui)至春蓬(Chumphon)


苏梅岛(Koh Samui)至春蓬(Chumphon)

苏梅岛(Koh Samui)至春蓬(Chumphon)


苏梅岛(Koh Samui)至春蓬(Chumphon)

苏梅岛(Koh Samui)至春蓬(Chumphon)


苏梅岛(Koh Samui)至春蓬(Chumphon)

苏梅岛(Koh Samui)至春蓬(Chumphon)


苏梅岛(Koh Samui)至春蓬(Chumphon)

苏梅岛(Koh Samui)至春蓬(Chumphon)


苏梅岛(Koh Samui)至春蓬(Chumphon)

苏梅岛(Koh Samui)至春蓬(Chumphon)


苏梅岛(Koh Samui)至春蓬(Chumphon)

苏梅岛(Koh Samui)至春蓬(Chumphon)


苏梅岛(Koh Samui)至春蓬(Chumphon)

苏梅岛(Koh Samui)至春蓬(Chumphon)


苏梅岛(Koh Samui)至春蓬(Chumphon)

苏梅岛(Koh Samui)至春蓬(Chumphon)


苏梅岛(Koh Samui)至春蓬(Chumphon)

苏梅岛(Koh Samui)至春蓬(Chumphon)


苏梅岛(Koh Samui)至春蓬(Chumphon)

苏梅岛(Koh Samui)至春蓬(Chumphon)


苏梅岛(Koh Samui)至春蓬(Chumphon)

苏梅岛(Koh Samui)至春蓬(Chumphon)





苏梅岛(Koh Samui)至春蓬(Chumphon)

苏梅岛(Koh Samui)至春蓬(Chumphon)

苏梅岛(Koh Samui)至春蓬(Chumphon)

苏梅岛(Koh Samui)至春蓬(Chumphon)

苏梅岛(Koh Samui)至春蓬(Chumphon)

苏梅岛(Koh Samui)至春蓬(Chumphon)

苏梅岛(Koh Samui)至春蓬(Chumphon)

苏梅岛(Koh Samui)至春蓬(Chumphon)

苏梅岛(Koh Samui)至春蓬(Chumphon)

苏梅岛(Koh Samui)至春蓬(Chumphon)

苏梅岛(Koh Samui)至春蓬(Chumphon)

苏梅岛(Koh Samui)至春蓬(Chumphon)

苏梅岛(Koh Samui)至春蓬(Chumphon)

苏梅岛(Koh Samui)至春蓬(Chumphon)

苏梅岛(Koh Samui)至春蓬(Chumphon)

苏梅岛(Koh Samui)至春蓬(Chumphon)

苏梅岛(Koh Samui)至春蓬(Chumphon)

苏梅岛(Koh Samui)至春蓬(Chumphon)

苏梅岛(Koh Samui)至春蓬(Chumphon)

苏梅岛(Koh Samui)至春蓬(Chumphon)
回复

使用道具 举报

 楼主| 发表于 2017-7-30 05:10:48 | 显示全部楼层
2016年12月31日,第十五天,春蓬(Chumphon)至曼谷(Bangkok)

这一路跑过不少遍了,比较熟悉,只是这次赶上新年放假,路上车比较多,开得要更小心些,也要慢些,傍晚时分到达曼谷住处。

晚上去Central World那边参加了迎新活动,不过因为泰国拉玛九世普密蓬国王逝世才两个多月,每年那里都会有的倒计时庆祝活动取消,改为新年祈福活动。

泰国国王拉玛九世普密蓬国王可以说是一个伟大的国王,他在位七十年,也是世界上在位时间最长的国王。普密蓬国王在位期间勤政爱民,广受泰国人民爱戴。

春蓬(Chumphon)至曼谷(Bangkok)

春蓬(Chumphon)至曼谷(Bangkok)


春蓬(Chumphon)至曼谷(Bangkok)

春蓬(Chumphon)至曼谷(Bangkok)


春蓬(Chumphon)至曼谷(Bangkok)

春蓬(Chumphon)至曼谷(Bangkok)


春蓬(Chumphon)至曼谷(Bangkok)

春蓬(Chumphon)至曼谷(Bangkok)


春蓬(Chumphon)至曼谷(Bangkok)

春蓬(Chumphon)至曼谷(Bangkok)


春蓬(Chumphon)至曼谷(Bangkok)

春蓬(Chumphon)至曼谷(Bangkok)


春蓬(Chumphon)至曼谷(Bangkok)

春蓬(Chumphon)至曼谷(Bangkok)


春蓬(Chumphon)至曼谷(Bangkok)

春蓬(Chumphon)至曼谷(Bangkok)


春蓬(Chumphon)至曼谷(Bangkok)

春蓬(Chumphon)至曼谷(Bangkok)


晚上祈福活动周边封路,我们就把车停在边上的一个宾馆停车场,这里的人真是非常友好,看到很多车无处停放,主动开放了宾馆的停车场免费停车。

泰国人很Nice,泰国的很多单位也很友善。只要友善微笑地去应对,即便出现了一些问题,也比较容易协调化解。

泰国确实是一个非常和谐的国家。

春蓬(Chumphon)至曼谷(Bangkok)

春蓬(Chumphon)至曼谷(Bangkok)


坐一站天铁就到了会场。

春蓬(Chumphon)至曼谷(Bangkok)

春蓬(Chumphon)至曼谷(Bangkok)


春蓬(Chumphon)至曼谷(Bangkok)

春蓬(Chumphon)至曼谷(Bangkok)


春蓬(Chumphon)至曼谷(Bangkok)

春蓬(Chumphon)至曼谷(Bangkok)


春蓬(Chumphon)至曼谷(Bangkok)

春蓬(Chumphon)至曼谷(Bangkok)


春蓬(Chumphon)至曼谷(Bangkok)

春蓬(Chumphon)至曼谷(Bangkok)


春蓬(Chumphon)至曼谷(Bangkok)

春蓬(Chumphon)至曼谷(Bangkok)


春蓬(Chumphon)至曼谷(Bangkok)

春蓬(Chumphon)至曼谷(Bangkok)


春蓬(Chumphon)至曼谷(Bangkok)

春蓬(Chumphon)至曼谷(Bangkok)


春蓬(Chumphon)至曼谷(Bangkok)

春蓬(Chumphon)至曼谷(Bangkok)


春蓬(Chumphon)至曼谷(Bangkok)

春蓬(Chumphon)至曼谷(Bangkok)


春蓬(Chumphon)至曼谷(Bangkok)

春蓬(Chumphon)至曼谷(Bangkok)


春蓬(Chumphon)至曼谷(Bangkok)

春蓬(Chumphon)至曼谷(Bangkok)


春蓬(Chumphon)至曼谷(Bangkok)

春蓬(Chumphon)至曼谷(Bangkok)


春蓬(Chumphon)至曼谷(Bangkok)

春蓬(Chumphon)至曼谷(Bangkok)


春蓬(Chumphon)至曼谷(Bangkok)

春蓬(Chumphon)至曼谷(Bangkok)


春蓬(Chumphon)至曼谷(Bangkok)

春蓬(Chumphon)至曼谷(Bangkok)


春蓬(Chumphon)至曼谷(Bangkok)

春蓬(Chumphon)至曼谷(Bangkok)

之后在曼谷待了一天,然后从曼谷回清迈路上花了一天时间,总计十七天,全程六千多公里,一路上收获满满!

只是此次发贴已经在自驾半年之后,很多细节和感想已经淡忘,以后还得及时发贴才是。

期待下一次的自驾出行!哈哈~











回复

使用道具 举报

发表于 2019-5-16 08:56:29 | 显示全部楼层
这样的精彩自驾帖应该顶上来!
回复

使用道具 举报

您需要登录后才可以回帖 登录 | 点击注册

本版积分规则

QQ|Archiver|SiXiang.com 思乡思想

GMT+8, 2025-11-5 02:05

Powered by Discuz! X3.5

© 2001-2025 Discuz! Team.

快速回复 返回顶部 返回列表